高新区拟新建杏山路等12条城市道路!规划图公示
扫描到手机,新闻随时看
扫一扫,用手机看文章
更加方便分享给朋友
9月3日,烟台市自然资源和规划局发布了一批关于高新区城市道路用地的核发批前公示。公示涉及杏山路、纬一路、纬六路、经一路、经六路等12条道路。快来看看你家附近有没有?规划道路详情:
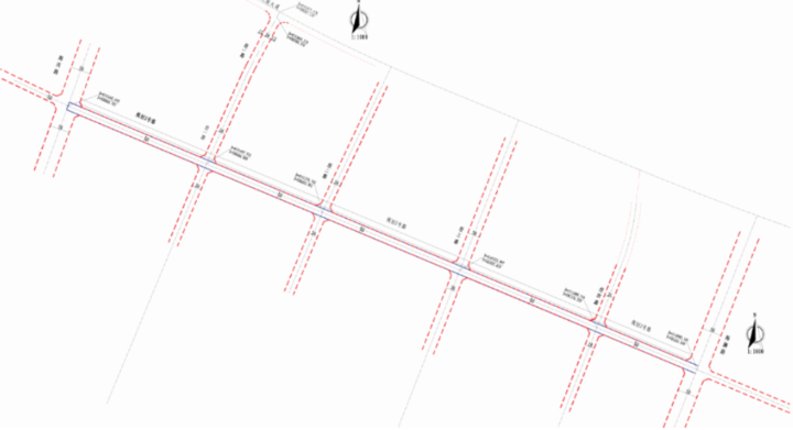
杏山路(创业路-创新南路):
西起创业路,东至创业南路,长711米,宽30米。

纬一路(经六路-经七路):
在西起经六路,东至经七路,长360米,宽25米。

纬六路(海澜路-滨河西路):
在西起海澜路,东至滨河西路,长1403秘密,宽18米。

经一路(火炬大道-规划2号路):
南起规划2号路,北至火炬大道,长420米,宽24米。

经六路(创业路-纬一路):
西起纬一路,东至创业路,长513米,宽14米。

经八路(纬五路-纬六路):
南起纬六路,北至纬五路,长511米,宽14米。

航天路(区界-蓝海路):
西起高新区界,东至蓝海路,长1214米,宽度:海越路至蓝海路段25米、蓝海路至华和佳苑路段20米。

规划16号路(规划1号路南-科技大道):
南起科技大道,北至规划1号路南,长344.477米。

规划2号路(海兴路-海天路):
西起海天路,东至海兴路,长1004.921米,宽20米。

规划2号路(海兴路-海澜路):
西起海兴路,东至海澜路,长1670米,宽24。

规划1号路(海越路-海博路段):
西起海越路,东至海博路,长708.925米,宽20米。

创新路(杏山路-海天路):
西起海天路,东至杏山路,长520米,宽40米。

上述12条路的公示时间为9月3日到9月11日,市民可于公示期内通过以下联系方式将意见反馈至烟台市自然资源和规划局。联系电话:高新区规划管理办公室,地址:高新区科技大道69号。
来源:烟台市自然资源和规划局
声明:本文由入驻焦点开放平台的作者撰写,除焦点官方账号外,观点仅代表作者本人,不代表焦点立场。
