烟台再挂牌一宗好地,临近三中,起拍楼面价约3307元/平
扫描到手机,新闻随时看
扫一扫,用手机看文章
更加方便分享给朋友
昨日,搜狐焦点从烟台土地市场交易网了解到,芝罘区较新挂牌一宗商住地,为青年南路以东,朱家疃南侧A宗地,起始总价8500万元,起始楼面价3307元/平。根据规划来看,该地块可能为逸城山色后期加推地块。
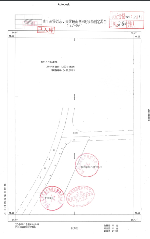
青年南路以东,朱家疃南侧A宗地(烟J[2021]1002号),位于芝罘区通车路以南、青年南路以东、逸城山色小区以西,出让面积12234.4平方米(包含部分拟划拨使用的公共管理与公共服务用地),住宅、商服、公共管理与公共服务用地,容积率≤2.1且>1.9,竞买保证金4250万元,出让起始总价8500万元,起始楼面价3307元/平。

规划地上建筑面积小于等于25700平方米,其中住宅建筑面积小于等于17100平方米、商务建筑面积小于等于8300平方米、物业用房建筑面积大于等于200平方米、养老用房建筑面积大于等于50平方米、公厕建筑面积大于等于50平方米;规划地上建筑面积大于23300平方米。地下车库建筑面积约8600平方米。
地块居住兼容商务,建筑密度≤25%,绿地率>30%,建筑高度≤80米,地上建筑层数≤26层。
勘定图及红线图如下:


地块位处黄务板块,位置优越,西邻青年南路,东邻机场路,靠近汽车南站、杜家疃,交通通达;港城小学、港城中学、烟台三中在其附近;周边小区较多,柏林春天、东方盛景、逸城山色等,生活配套成熟。
声明:本文由入驻焦点开放平台的作者撰写,除焦点官方账号外,观点仅代表作者本人,不代表焦点立场。
